Skocz do zawartości
  • 0

Interpretacja obrazu echosondy


termin

Pytanie

Rekomendowane odpowiedzi

  • 0

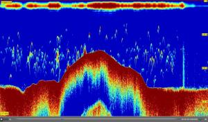
Zrzuty (zdjęcia) pochodzą z tego urządzenia, którego w sumie już nie posiadam. Wymieniłem na rzecz HDS 9 gen3, bo pod wieloma względami jest lepszy ( szybkość działania, jakość wyświetlacza i dotykowa obsługa). Teraz w planach jest HM Solix 12 ale chyba żona mnie z domu wywali  :huh:

 

 

To nie jest giełda.

post-61244-0-88617100-1500527278_thumb.jpg

Edytowane przez mario
  • Like 1
Odnośnik do komentarza
Udostępnij na innych stronach

  • 0

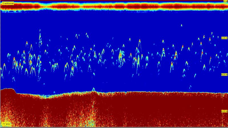
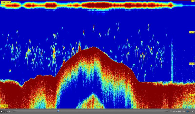
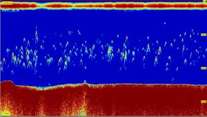
4-6 km/h jak dobrze pamiętam - chciałem nagrać obraz sonaru. Może ktoś podrzuci informację jak ustawić kluczowe parametry typu czułość itp. Póki co mam na auto. Nie chodzi mi o podanie konkretnych wartości - bardziej o sposoby.

Odnośnik do komentarza
Udostępnij na innych stronach

  • 0

4-6 km/h jak dobrze pamiętam - chciałem nagrać obraz sonaru. Może ktoś podrzuci informację jak ustawić kluczowe parametry typu czułość itp. Póki co mam na auto. Nie chodzi mi o podanie konkretnych wartości - bardziej o sposoby.

Ale w Ursusie C330 czy w WV 1.9 TDi Chirp Mega MOC.

Nie wiemy z czym się bujasz po falach  B)

  • Like 2
Odnośnik do komentarza
Udostępnij na innych stronach

  • 0

Dobre :) Pływam z Garminem EchoMap 71SV. Kombinowałem ze stożkiem i przy 200khz nie widać łuków tak dokładnie jak przy 77kHz. Czułość, zasięg i inne parametry mam póki co ustawione na auto.

To normalne. Przy szerokim stożku 77 widać lepsze łuki bo ryba pozostaje dłużej w zasięgu przetwornika.

Zmień Auto czułość na ręczną.  

Jak stoisz podrzuć gume pod przetwornik, wielkość według uznania. Ja wrzucam 10 cm.

Podnoś i opuszczaj.

I ustaw ręcznie czułość

Odnośnik do komentarza
Udostępnij na innych stronach

  • 0

To normalne. Przy szerokim stożku 77 widać lepsze łuki bo ryba pozostaje dłużej w zasięgu przetwornika.

Zmień Auto czułość na ręczną.  

Jak stoisz podrzuć gume pod przetwornik, wielkość według uznania. Ja wrzucam 10 cm.

Podnoś i opuszczaj.

I ustaw ręcznie czułość

Ale Auto można zwiększyć lub zmniejszyć, u mnie do 40%

Odnośnik do komentarza
Udostępnij na innych stronach

Dołącz do dyskusji

Możesz dodać zawartość już teraz a zarejestrować się później. Jeśli posiadasz już konto, zaloguj się aby dodać zawartość za jego pomocą.

Gość
Odpowiedz na pytanie...

×   Wklejono zawartość z formatowaniem.   Usuń formatowanie

  Dozwolonych jest tylko 75 emoji.

×   Odnośnik został automatycznie osadzony.   Przywróć wyświetlanie jako odnośnik

×   Przywrócono poprzednią zawartość.   Wyczyść edytor

×   Nie możesz bezpośrednio wkleić grafiki. Dodaj lub załącz grafiki z adresu URL.

Ładowanie
×
×
  • Dodaj nową pozycję...