termin Opublikowano 23 Sierpnia 2011 Zgłoś Udostępnij Opublikowano 23 Sierpnia 2011 Czy pol-łuki przy dnie to ryby czy rosliny czy cos innego. Zastanawia mnie ich pochylenie w jednym kierunku. luki w toni rowniez maja taki sam kierunek. Glebokosc to 8m predkosc lodzi 5km/h . 1 Cytuj Odnośnik do komentarza Udostępnij na innych stronach Więcej opcji udostępniania...
0 goldi1231 Opublikowano 28 Października 2019 Zgłoś Udostępnij Opublikowano 28 Października 2019 Goldi jesteś twardzielem. Albo z innej przyczyny nie obrzucałeś miejscówki Dlaczego twardziel? Cytuj Odnośnik do komentarza Udostępnij na innych stronach Więcej opcji udostępniania...
0 bassy Opublikowano 29 Października 2019 Zgłoś Udostępnij Opublikowano 29 Października 2019 No że nie obłowiłeś. Ja zatrzymałbym się z piskiem (opon) burty i 15 minut porzucał Cytuj Odnośnik do komentarza Udostępnij na innych stronach Więcej opcji udostępniania...
0 karkoszek Opublikowano 29 Października 2019 Zgłoś Udostępnij Opublikowano 29 Października 2019 Na tych prawie 8 metrach to 10 gram mogłoby być mało pod okonie, a guma 10 cm jest w sam raz, szczególnie jakaś smukła. Tak się łowi okonie a nie okonki kijem do 7 gram 2 Cytuj Odnośnik do komentarza Udostępnij na innych stronach Więcej opcji udostępniania...
0 bassy Opublikowano 29 Października 2019 Zgłoś Udostępnij Opublikowano 29 Października 2019 Także następnym razem prosimy o obraz z echa a potem fotkę wyjętej ryby ???? 1 Cytuj Odnośnik do komentarza Udostępnij na innych stronach Więcej opcji udostępniania...
0 goldi1231 Opublikowano 29 Października 2019 Zgłoś Udostępnij Opublikowano 29 Października 2019 Także następnym razem prosimy o obraz z echa a potem fotkę wyjętej ryby ????Tak jest Panie kapitanie. Popróbuje następnym razem. Cytuj Odnośnik do komentarza Udostępnij na innych stronach Więcej opcji udostępniania...
0 bassy Opublikowano 29 Października 2019 Zgłoś Udostępnij Opublikowano 29 Października 2019 Kibicuję Ci bo ja na razie stare elite 5 katuję Cytuj Odnośnik do komentarza Udostępnij na innych stronach Więcej opcji udostępniania...
0 Marcin1991 Opublikowano 29 Października 2019 Zgłoś Udostępnij Opublikowano 29 Października 2019 Ja pod okonia nie mam mniejszych gum jak 10cm. Główka to tylko kwestia wiatru i głębokości. Wczoraj miałem wiatr 30km/h i lowilismy z opadu. Ale główka od 20+ godli ogolnie mało robię screena. Ale teraz jak będę to zrobię i tutaj wrzucę. Miejscowke miales dobra, tzn zapis w miarę ladny. Z gazu lapa ko6wica za burte i ogień. Cytuj Odnośnik do komentarza Udostępnij na innych stronach Więcej opcji udostępniania...
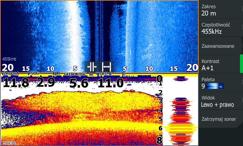
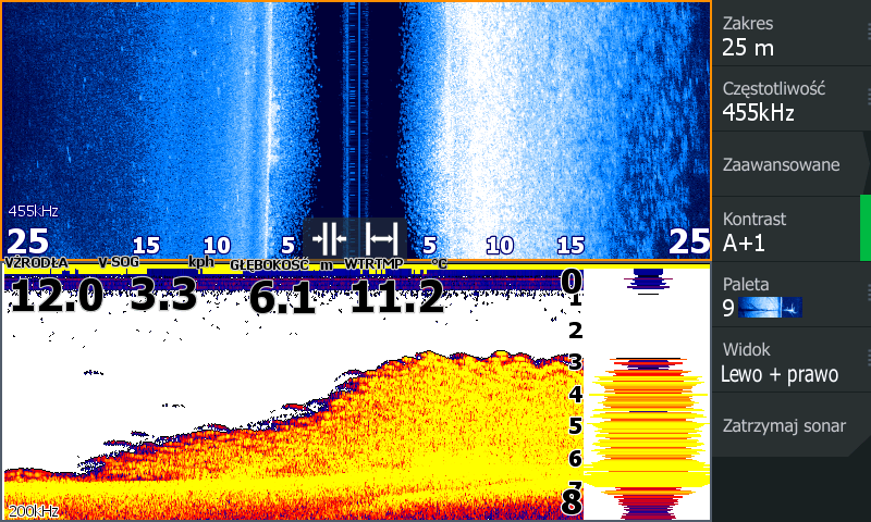
0 goldi1231 Opublikowano 31 Października 2019 Zgłoś Udostępnij Opublikowano 31 Października 2019 witam wczoraj takie zapisy, że nie wiedziałem gdzie się zatrzymać.jak zapisy słabe człowiek narzeka, że ryb nie widać, ale jak coś znajdzie to połowi.a tu ? Cytuj Odnośnik do komentarza Udostępnij na innych stronach Więcej opcji udostępniania...
0 goldi1231 Opublikowano 31 Października 2019 Zgłoś Udostępnij Opublikowano 31 Października 2019 jeszcze te.. Cytuj Odnośnik do komentarza Udostępnij na innych stronach Więcej opcji udostępniania...
0 Koza11 Opublikowano 31 Października 2019 Zgłoś Udostępnij Opublikowano 31 Października 2019 Zima panie idzie, zima- ryby gromadzą się w stada na określonych lokalizacjach, nie wiem ile masz tam wody w sensie głębokości max te dość nisko już siedzą. Trafisz na takie zgrupowanie- naoglądasz się ryb do syta. 1 Cytuj Odnośnik do komentarza Udostępnij na innych stronach Więcej opcji udostępniania...
0 goldi1231 Opublikowano 31 Października 2019 Zgłoś Udostępnij Opublikowano 31 Października 2019 Tak tylko muszę jeszcze nauczyć się szukac w tym gąszczu ryb - drapieżniki. Cytuj Odnośnik do komentarza Udostępnij na innych stronach Więcej opcji udostępniania...
0 goldi1231 Opublikowano 31 Października 2019 Zgłoś Udostępnij Opublikowano 31 Października 2019 Max. głębokość teraz to około 15-17m Cytuj Odnośnik do komentarza Udostępnij na innych stronach Więcej opcji udostępniania...
0 Marcin1991 Opublikowano 31 Października 2019 Zgłoś Udostępnij Opublikowano 31 Października 2019 U mn3i już na 15-20m stoją potężne ławice, ściany totalne. Kolego stajesz w ławicy i ladujesz do Opola i dalej przepływasz i jazda . Gdzieś musi stać pasterz tych stadek Cytuj Odnośnik do komentarza Udostępnij na innych stronach Więcej opcji udostępniania...
0 goldi1231 Opublikowano 31 Października 2019 Zgłoś Udostępnij Opublikowano 31 Października 2019 Ok. tak zrobię. Tylko dużo tych zapisów na jeziorze było, ale popróbuje może coś wydlubie. Cytuj Odnośnik do komentarza Udostępnij na innych stronach Więcej opcji udostępniania...
0 szydlos Opublikowano 2 Listopada 2019 Zgłoś Udostępnij Opublikowano 2 Listopada 2019 Ok. tak zrobię. Tylko dużo tych zapisów na jeziorze było, ale popróbuje może coś wydlubie.Hehe a co powiesz na to dodam tylko że nic z pod tego nie wyszło.Nawet pstryka,...hmm Cytuj Odnośnik do komentarza Udostępnij na innych stronach Więcej opcji udostępniania...
0 goldi1231 Opublikowano 2 Listopada 2019 Zgłoś Udostępnij Opublikowano 2 Listopada 2019 Właśnie o to chodzi. Nie wiadomo gdzie stanąć aby połowić. Uczę się cały czas szukania ryb (sandaczy) na bocznym.Ciężko jest szukać ich (tak zauważyłem) gdy na echo rysuje pełno ryb (białoryb).Jeżeli szukam sandaczy to na bocznym widzę dołki, w których są ryby, oczywiście nie zawsze. Sandacze na echo pokazuje mi bardziej podświetlane, zazwyczaj na dnie - nie zawsze. Cytuj Odnośnik do komentarza Udostępnij na innych stronach Więcej opcji udostępniania...
0 uups Opublikowano 3 Listopada 2019 Zgłoś Udostępnij Opublikowano 3 Listopada 2019 Na moim HB inaczej zapisuje ławice okonia. Chociaż czasem zapisuje mi właśnie w sposób takiej choinki.możesz wrzucić jakiś materiał a pro po tych okoni ? Cytuj Odnośnik do komentarza Udostępnij na innych stronach Więcej opcji udostępniania...
0 Marcin1991 Opublikowano 3 Listopada 2019 Zgłoś Udostępnij Opublikowano 3 Listopada 2019 Siemanko. Muszę zobaczyć czy mam na karcie jakieś zrzuty. W ten weekend miałem. Jechać na okoniowe łowisko ale niestety mamy wiatr do 80km Cytuj Odnośnik do komentarza Udostępnij na innych stronach Więcej opcji udostępniania...
0 Koza11 Opublikowano 3 Listopada 2019 Zgłoś Udostępnij Opublikowano 3 Listopada 2019 (edytowane) Księżycowy krajobraz... Nie chciały dzisiaj współpracować. Pod kursorem ryba się chowa. Tam jest ok 2m wody. A tutaj optymalne wykorzystanie do szybkiego pozyskania potrzebnych danych- boki- SI, góra mapa 2d, dolna mapa-- struktura pode mną. Edytowane 3 Listopada 2019 przez Maciej_K 11 Cytuj Odnośnik do komentarza Udostępnij na innych stronach Więcej opcji udostępniania...
0 Marcin1991 Opublikowano 3 Listopada 2019 Zgłoś Udostępnij Opublikowano 3 Listopada 2019 Maciej to zapisy sandałowe ?? dołki ładne :-) widac ze czają się. Cytuj Odnośnik do komentarza Udostępnij na innych stronach Więcej opcji udostępniania...
0 goldi1231 Opublikowano 3 Listopada 2019 Zgłoś Udostępnij Opublikowano 3 Listopada 2019 Maciej K. Jakie masz echo? Co to za opcją pokazywania SI na okręgu? Cytuj Odnośnik do komentarza Udostępnij na innych stronach Więcej opcji udostępniania...
0 wuran Opublikowano 3 Listopada 2019 Zgłoś Udostępnij Opublikowano 3 Listopada 2019 HB 360? Cytuj Odnośnik do komentarza Udostępnij na innych stronach Więcej opcji udostępniania...
0 siarq Opublikowano 3 Listopada 2019 Zgłoś Udostępnij Opublikowano 3 Listopada 2019 Niezgadniecie:) 1 Cytuj Odnośnik do komentarza Udostępnij na innych stronach Więcej opcji udostępniania...
0 Marcin1991 Opublikowano 3 Listopada 2019 Zgłoś Udostępnij Opublikowano 3 Listopada 2019 Maciej Simradem włada jak dobrze pamiętam Cytuj Odnośnik do komentarza Udostępnij na innych stronach Więcej opcji udostępniania...
0 mercoss Opublikowano 3 Listopada 2019 Zgłoś Udostępnij Opublikowano 3 Listopada 2019 Maciej Simradem włada jak dobrze pamiętamGrafika jak w Simrad Wysłane z mojego MI 6 przy użyciu Tapatalka Cytuj Odnośnik do komentarza Udostępnij na innych stronach Więcej opcji udostępniania...
Pytanie
termin
Czy pol-łuki przy dnie to ryby czy rosliny czy cos innego. Zastanawia mnie ich pochylenie w jednym kierunku. luki w toni rowniez maja taki sam kierunek. Glebokosc to 8m predkosc lodzi 5km/h
.
Odnośnik do komentarza
Udostępnij na innych stronach
Top użytkownicy dla tego pytania
225
110
88
70
Popularne dni
10 Wrz
29
21 Maj
28
5 Kwi
24
4 Wrz
17
Top użytkownicy dla tego pytania
Koza11 225 odpowiedzi
siarq 110 odpowiedzi
goldi1231 88 odpowiedzi
Paprykarz 70 odpowiedzi
Popularne dni
10 Wrz 2018
29 odpowiedzi
21 Maj 2019
28 odpowiedzi
5 Kwi 2019
24 odpowiedzi
4 Wrz 2019
17 odpowiedzi
Popularne posty
Paprykarz
Przeglądałem ten temat z podanego linku i jestem w szoku. Goście mają niesamowicie rozbudowaną fantazję. Opisy typu: 2 foto , kilka zapisków drobnych sandaczy z prawej strony , foto 4 nie widać dobrze
Dano-G
Znalezione na fejsbuku [emoji23] Proszę o pomoc w interpretacji, bo mi się kojarzy właśnie tak jak wyglada [emoji23] Pozdrawiam Daniel Wysłane z iPhone za pomocą Tapatalk
IntruZ9
wczoraj miała miejsce akcja wydobycia rzekomo skradzionego jachtu typu kormoran,zaangażowanych kilka jednostek strazy.policja (od 2016 prowadzone śledztwo) mnie udało się go znaleźć i rozwiązać zagadk
Opublikowane grafiki
1803 odpowiedzi na to pytanie
Rekomendowane odpowiedzi
Dołącz do dyskusji
Możesz dodać zawartość już teraz a zarejestrować się później. Jeśli posiadasz już konto, zaloguj się aby dodać zawartość za jego pomocą.